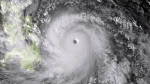
約1200人が死亡した可能性があると伝えた。
今年最大の勢力で上陸時の最大瞬間風速は竜巻級の90メートルとなり、約80万人が避難した。
フィリピン国家災害対策本部によると、最も被害が大きかったのは中部レイテ島だが、
停電や通信回線の寸断で被害状況が把握できていない。
落雷や土砂崩れによる死傷者が多数いるとみて確認を進めている。
台風は勢力をやや弱めながら南シナ海を西へ進み、10日にベトナムに上陸する可能性があるが、
12日には中国南部で熱帯低気圧に変わる見通し。
ベトナム政府は沿岸部などに住む50万世帯以上を対象に安全な建物に避難するよう指示を出すなど、警戒を強めている。
http://www.asahi.com/articles/TKY201311090223.html
引用元: ・【国際】 猛烈台風、フィリピン直撃 1200人死亡か
まず日本のニュースでその数値は見ることがないな
将来的には日本もそのクラスの台風が来る可能性があるとか
ご冥福だわ
台風の規模は伊勢湾台風よりだいぶ小さいけどな
伊勢湾台風は875だったか850だったか、そのくらいまで下がった
wikiだと、今回と同じ895になってるけど
風速は少し少なめの75mみたいね
伊勢湾台風は上陸時920くらいだよ。上陸時895のこれに比べたら雑魚
津波の次は台風だろ
それでもこんな数字になっちゃうのか…。
お前は楽天のダイヤかw
風速90なんてきたら日本の都会だってひとたまりもないわ
沢山いるんだよ。
地震でも台風でも被害者数の桁が日本と違う。
音が普通じゃ無えー
恐ろしいな
もう高速回転のミキサーじゃんか
異常気象はこれからどんどん酷くなるらしいからな。米国大統領も言ってたし。
毎年これ以上の超巨大台風が大量発生なんだろ。
せっかく学校が休みになると思ったのに
残念残念
HP低すぎ
今年日本にきた竜巻の最大級のやつと同じくらいだってさ。
無理ゲーだよ。
/ / / / / /
ビュー ,.、 ,.、 / /
/ / ∠二二、ヽ / /
/ / / (( ´・ω・`)) ちょっと田んぼの様子見てくるお
/ ~~ :~~~〈 /
/ / ノ : _,,..ゝ /
/ / (,,..,)二i_,∠ / /
これ以上被害が出ないように祈るわ
風速43.8m/s 非常に強い台風
風速54.1m/s 猛烈な台風
風速90m/s データなし
山岳における最大瞬間風速 - 91.0m/s 富士山頂 旧・富士山測候所:気象官署(1966年9月25日 台風26号)
なんだこれ地上構造物がほとんど薙ぎ倒されちゃってるじゃねーか
ほとんど「持続する竜巻」だなこのレベルになると
すさまじいな…
ひどい…
色んな物が飛んで来るのを想像するとぞっとする…
今後、こんなモンスター台風が日本を襲うこともあるんだよなぁ。
恐ろしい事だよなぁ。
合掌
おまえは最大瞬間風速90mってどれくらいかわかってんの?w
貧粗な家は跡形もなく吹き飛ぶレベルだぞ
http://s1.reutersmedia.net/resources/r/?m=02&d=20131108&t=2&i=810006089&w=&fh=&fw=&ll=580&pl=378&r=CBRE9A707WO00
http://i.dailymail.co.uk/i/pix/2013/11/08/article-2491902-1943B1A600000578-646_964x767.jpg

すでに東日本大震災のあと津波がきたあとの
跡地みたいになってる
壮絶すぎるな…
津波に匹敵するな。
特亜以外、アジアの国々と仲良しなんですから
自衛隊にぜひ救援活動を
90mて・・・
すごいな台風
そして被害大きすぎ
亡くなった方のご冥福を祈ります。
募金送りたいんだけど、どこが信用できるかな。
ヤクザ怖すぎワロエナイww(画像あり)
史上最高にクズなエピソードいってけwwwwww
ラサール石井の32歳下の嫁がどうも変wwwww ((((;゚Д゚)))
【韓国】「震度4の天災で日本列島驚愕」のニュースに、韓国ネチズンら「日本が天罰を受けた!」
【悲報】 南トンスル国民、現実に気付き日和る 「日本と軍事協力を」「首脳会談も今すぐ」が6割超に
にしおかすみこがテレビから消えた理由wwwwwwwww
最近のガキイケメン過ぎわろたwww
【驚愕】知人の息子の中学生が月収19万らしいwwwwwwwwwwwwwww
【下僕扱い】カプセルホテルに泊まったら酷すぎる結婚式の話が聞こえてきた
地元警察幹部らの話として犠牲者は1万人以上にのぼる見通しであると伝えた。
http://mainichi.jp/select/news/20131110k0000e030125000c.html
いいね!しよう
本日注目の話題!
コメント一覧
※ 1.
私は名無しさん
2013年11月10日 14:03 ID:j1KA1n9C0 ※このコメントに返信する※
(e/d)
フィリピンには毎年いくつか台風来るんでしょ?
それも日本に上陸するのより強いのが。
※ 2.
名無し
2013年11月10日 14:35 ID:xxqgoI2b0 ※このコメントに返信する※
(e/d)
hpが高い方が凄いと勘違いしてるやつがいるな
895って恐ろしすぎる
※ 3.
私は名無しさん
2013年11月10日 14:51 ID:fhNoEzwl0 ※このコメントに返信する※
(e/d)
日本も自然災害多いから人事と思えん...
※ 4.
名無し
2013年11月10日 15:16 ID:Bz0yr0RkO ※このコメントに返信する※
(e/d)
避難しても建物がしっかりしてないと無駄だしなぁ
※ 5.
2013年11月10日 15:29 ID:.v70KLrBO ※このコメントに返信する※
(e/d)
犠牲者のご冥福をお祈りします
感染症にも気を付けて欲しい
自然災害が多い日本としては、他人事とは思えないよね…
日本政府は支援を出さないのかな?
義援金を送りたい
※ 6.
名無し
2013年11月10日 15:38 ID:gFmcuuu10 ※このコメントに返信する※
(e/d)
いたましい…亡くなった方々のご冥福をお祈りします。
微弱ながら何か力になりたい
※ 7.
私は名無しさん
2013年11月10日 17:06 ID:AxAPD.yJ0 ※このコメントに返信する※
(e/d)
韓国や中国のことボロクソ言ってる場合じゃないぜ
まだ状況がよくわからないけど 助けてあげようぜ
※ 8.
私は名無しさん
2013年11月10日 17:40 ID:33xHYAPT0 ※このコメントに返信する※
(e/d)
フィリピン赤十字でいいんだな?
フィリピンの人がんばって再興しておくれ、日本自衛隊の皆さんも救護活動お願いします!
※ 9.
、
2013年11月10日 18:49 ID:7t.e4psgO ※このコメントに返信する※
(e/d)
伊勢湾台風が最大に発達したのが895hp上陸時にこの最大値の気圧は巨大な竜巻クラスと言っても良いんじゃないか!?早急に自衛隊派遣して、はよう。募金は赤十字で間違いない?
※ 10.
私は名無しさん
2013年11月10日 19:09 ID:OfJEPBHt0 ※このコメントに返信する※
(e/d)
今、ニュースで見たが酷すぎる。
東日本大震災の時のお返しをしたいんだが、日本からの派遣や、
義捐金の口座開設は、まだなのかな?
※ 11.
私は名無しさん
2013年11月10日 20:56 ID:Mu54UFRH0 ※このコメントに返信する※
(e/d)
こいつはヒデェ…
少しだけどフィリピン支援するか。
※ 12.
あ
2013年11月10日 21:55 ID:BsKAJUhWO ※このコメントに返信する※
(e/d)
3歳の息子がニュース見て「この人たちのおうちこわれちゃったの?」って泣いた。
募金箱どこだああ!
※ 13.
2013年11月10日 22:18 ID:p3A6DDwWO ※このコメントに返信する※
(e/d)
ついに5桁…
東日本大震災に匹敵する大災害が現時点で確実かよ…
安月給だけど募金するわ
※ 14.
あ
2013年11月10日 22:44 ID:atUi8c.QO ※このコメントに返信する※
(e/d)
この話題で韓国という文字を持ち出してくる奴は病気だと思う。
※ 15.
私は名無しさん
2015年04月16日 18:21 ID:d3FE8T8n0 ※このコメントに返信する※
(e/d)
風速90mとかマジで洒落にならんな
日本だってまだまだ古い家屋は沢山あるし、近代建築だって建物自体は大丈夫でも風で飛ばされたモノが飛んできて当たれば無傷では無いよ。
最悪窓ガラス突き破ってきて住人が死傷する事だって十分あり得る。
コメント投稿


